惠州仲恺高新区陈江街道ZKCDS01-04号地块
工业项目国有建设用地使用权网上挂牌出让公告
惠公易土仲恺[2021]045号
根据国土资源部令第39号《招标拍卖挂牌出让国有建设用地使用权规定》、广东省人民政府令第79号《广东省土地使用权交易市场管理规定》和《惠州市国有建设用地使用权和矿业权电子挂牌交易规则》的规定,经惠州市人民政府批准,仲恺高新区国土资源分局决定以网上挂牌方式出让下列一宗工业项目国有建设用地使用权,本次国有建设用地使用权网上挂牌出让交易具体事务委托惠州市公共资源交易中心仲恺分中心办理。现将有关事项公告如下:
一、网上挂牌出让地块基本情况及主要规划指标要求(见附表)。
二、网上挂牌竞买时间为2021年5月14日9时至2021年5月28日10时。
三、地块起始价为人民币3961万元,每次报价加价幅度为人民币50万元的整数倍。
四、本次国有建设用地使用权网上挂牌出让为无底价挂牌出让,按照价高者得的原则确定竞得人。
五、竞买资格条件
中华人民共和国境内外的法人和其他组织(除法律法规另有规定外)具备本条规定条件的,均可申请参加竞买。申请人可以单独申请,也可以联合申请,竞买申请人必须同时具备下列条件:
(一)缴交竞买保证金793万元人民币;
(二)提交仲恺高新区科技创新局出具的与该宗地产业类型一致的优先发展产业项目文件;
(三)拖欠地价款、闲置土地、囤地炒地的企业及其控股股东不得参与竞买。
六、本次网上挂牌出让活动通过惠州市公共资源交易中心土地与矿业网上挂牌交易系统进行(以下简称网挂系统,网址:https://www.hzgtjy.com/),交易全程适用《惠州市国有建设用地使用权和矿业权电子挂牌交易规则》。网上挂牌出让的详细资料和具体要求见网挂系统,申请人可在网挂系统下载挂牌出让公告、须知及相关交易文件,并按上述文件规定的操作程序在网上参加竞买。申请人应当详细阅读挂牌出让公告、出让须知、出让宗地相关信息,如对网上挂牌交易相关文件有疑问的,可向我中心咨询,竞买申请一经提交,即视为申请人对本次挂牌交易相关文件无异议。
七、本次网上挂牌交易实行网上成交后审查制度,竞得人存在违法违规行为或不具备竞买资格的,竞得结果无效,造成损失的,还应依法承担赔偿责任。
八、有意竞买者可以自行到地块现场踏勘(可在网挂系统上查阅用地红线图)。
九、本次国有建设用地使用权网上挂牌出让只接受网上竞买申请,即通过网挂系统进行,不接受电话、邮寄、书面、电子邮件、口头等其他形式的申请。申请人应当在网上挂牌出让结束前登录网挂系统并在系统上向惠州市公共资源交易中心仲恺分中心提交竞买申请并支付保证金。网上挂牌保证金到账截止时间为2021年5月28日上午9时止。网上挂牌报价时间截止时,经系统询问,有竞买人表示愿意继续竞价的,系统自动进入网上限时竞价程序,通过竞价确定竞得人。
十、未成功竞得的竞买人所交竞买保证金,自提交退款申请之日起5个工作日内予以退还;若违法违规竞买的,按有关规定处罚后,竞买保证金的20%不予退还,其余在5个工作日内予以退还。
竞得人签订《成交确认书》后,缴交的保证金中按成交价的20%转作定金;竞得人逾期或拒绝签订《国有建设用地使用权出让合同》(以下简称《出让合同》)的,定金不予退还。竞得人签订《出让合同》后,定金转作土地出让价款。
十一、需要说明的事项
(一)竞得人除缴交成交地价款外,还需按规定缴交契税等有关税费;
(二)非仲恺高新区注册登记的企业竞得土地使用权的,必须在竞得土地后2个月内在仲恺高新区工商行政管理部门注册成立项目开发公司,并以该公司名义办理土地出让与登记发证手续;
(三)竞得人须在签订《出让合同》时,同步与仲恺高新区经济发展局签订《仲恺高新区产业项目投资建设协议书》;
(四)项目竣工验收时,未达到本公告规定的集约用地指标或者非优先发展产业的,用地单位必须按《出让合同》的约定补缴土地出让金及缴交违约金;
(五)竞得人有下列行为之一的,视为违约,取消竞得人资格,竞买保证金的20%不予退还,并由有关部门依法处理;造成损失的,竞得人还应依法承担赔偿责任:
1.不符合竞买资格条件的;
2.采取行贿、恶意串通等非法手段竞得的;
3.竞得人以其他非法手段竞得的;
4.竞得人逾期或拒绝签订《成交确认书》的;
5.不按须知规定提供有关纸质文件材料,或提供虚假文件材料、隐瞒重要事实,引起交易纠纷的;
6.构成违约责任的其他行为。
十二、联系方式:
联系地址:广东省惠州市仲恺高新区和畅五路人才服务
大厦10楼
联系人:汪鑫 王琳
联系电话:0752-3278419
注:本公告同时在下列网站及场所发布
中国土地市场网:http://www.landchina.com
广东省土地市场网:http://www.landgd.com
惠州市公共资源交易中心土地与矿业网上挂牌交易系统:https://www.hzgtjy.com/
惠州市公共资源交易中心网:https://zyjy.huizhou.gov.cn
惠州市公共资源交易中心仲恺分中心网站:https://www.hzzk.gov.cn/gwhbm/hzsggzyjyzxzzfzx/index.html
惠州市公共资源交易中心仲恺分中心服务大厅电子屏幕。
数字证书办理地点:惠州市江北云山西路二号帝景国际商务中心七层18-22房,联系电话:0752-2898481。
惠州市公共资源交易中心仲恺分中心
2021年4月24日
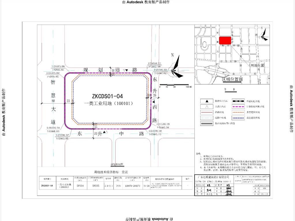
挂牌起始价及地块规划建设要求等主要指标附表
地块挂牌 编号 | 土地 位置 | 宗地总面积(㎡) | 土地 用途 | 规划指标 | 出让 年限(年) | 挂牌 起始价 (万元) | 加价 幅度 (万元) | 竞买 保证金 (万元) | 保证金截止时间 | 产业类型 |
计算指标用地面积(㎡) | 容积率R | 计容建筑面积S(㎡) | 建筑密度(%) | 绿地率(%) | 机动车停车位配建要求 | 其他 |
GZK2021-45 | 仲恺高新区陈江街道 | 58335(其中使用权面积为45796㎡) | 工业用地 | 58335 | 3.4≤R≤3.5 | 198339≤S≤204173 | ≥35 | 15≤绿地率≤20 | 厂房按每100㎡计容积率建筑面积≥0.3个配建;行政办公及生活服务配套设施按每100㎡计容积率建筑面积≥1.0个配建 | 行政办公及生活服务配套设施用地面积≤7% | 50 | 3961 | 50 | 793 | 2021年5月28日9时 | 智能移动终端产品及关键零部件的技术开发和制造以及卫星导航芯片、系统技术开发与设备制造 |
惠州仲恺高新区陈江街道ZKCDS01-04号地块
工业项目国有建设用地使用权网上挂牌出让须知
惠公易土仲恺[2021]045号
根据国土资源部令第39号《招标拍卖挂牌出让国有建设用地使用权规定》、广东省人民政府令第79号《广东省土地使用权交易市场管理规定》和《惠州市国有建设用地使用权和矿业权电子挂牌交易规则》的规定,经惠州市人民政府批准,仲恺高新区国土资源分局决定以网上挂牌方式出让下列一宗工业项目国有建设用地使用权,网上挂牌出让交易具体事务委托惠州市公共资源交易中心仲恺分中心办理。
一、本次国有建设用地使用权网上挂牌出让的出让人为仲恺高新区国土资源分局,具体组织实施由惠州市公共资源交易中心仲恺分中心承办。
二、本次国有建设用地使用权网上挂牌出让活动通过惠州市公共资源交易中心土地与矿业网上挂牌交易系统进行(以下简称网挂系统,网址:https://www.hzgtjy.com/)。
三、本次国有建设用地使用权网上挂牌出让遵循公开、公平、公正和诚实信用原则。
四、本次国有建设用地使用权网上挂牌出让为无底价挂牌出让,按照价高者得的原则确定竞得人。
五、本次网上挂牌交易实行网上成交后审查制度,竞得人存在违法违规行为或不具备竞买资格的,竞得结果无效,造成损失的,还应依法承担赔偿责任。
六、出让地块的基本情况及规划指标要求
(一)地块挂牌编号:GZK2021-45;
(二)地块位置:仲恺高新区陈江街道;
(三)规划编号:ZKCDS01-04;
(四)地块周边情况:东侧为东升西路(26m),南侧为东升中路(32m),西侧为智慧大道(80m),北侧为规划道路(18m);
(五)宗地总面积:58335㎡(其中使用权面积为45796㎡);
(六)计算指标用地面积:58335㎡;
(七)计容积率建筑面积S:198339㎡≤S≤204173㎡;
(八)土地用途为:工业用地;
(九)土地使用权出让年限:50年;
(十)容积率R:3.4≤R≤3.5;
(十一)建筑密度:≥35%;
(十二)15%≤绿地率≤20%;
(十三)机动车停车位配建标准:厂房按每100㎡计容积率建筑面积≥0.3个配建;行政办公及生活服务配套设施按每100㎡计容积率建筑面积≥1.0个配建;
(十四)行政办公及生活服务配套设施用地面积≤7%;
(十五)产业类型:智能移动终端产品及关键零部件的技术开发和制造以及卫星导航芯片、系统技术开发与设备制造;
(十六)投资强度≥9000万元/公顷;
(十七)土地交付时间:《国有建设用地使用权出让合同》(以下简称《出让合同》)签订之日交付土地;
(十八)动工及竣工时间:动工时间为土地交付之日起2个月内,竣工时间为土地交付之日起2年内。
七、需要说明的事项
(一)竞得人除缴交成交地价款外,还需按规定缴交契税等有关税费;
(二)非仲恺高新区注册登记的企业竞得土地使用权的,必须在竞得土地后2个月内在仲恺高新区工商行政管理部门注册成立项目开发公司,并以该公司名义办理土地出让与登记发证手续;
(三)竞得人须在签订《出让合同》时,同步与仲恺高新区经济发展局签订《仲恺高新区产业项目投资建设协议书》;
(四)项目竣工验收时,未达到本须知规定的集约用地指标或者非优先发展产业的,用地单位必须按《出让合同》的约定补缴土地出让金及缴交违约金。
八、竞买资格及要求
中华人民共和国境内外的法人和其他组织,除法律法规另有规定外,具备本条规定条件的均可申请参加竞买,可以独立申请,也可以联合申请。申请人须办理广东省数字证书并按要求足额交付竞买保证金,才能参加网上挂牌交易活动。
申请人应同时具备下列条件:
(一)缴交竞买保证金793万元人民币;
(二)提交仲恺高新区科技创新局出具的与该宗地产业类型一致的优先发展产业项目文件;
(三)拖欠地价款、闲置土地、囤地炒地的企业及其控股股东不得参与竞买。
九、违约及处理
竞得人有下列行为之一的,视为违约,取消竞得人资格,竞买保证金的20%不予退还,并由有关部门依法处理;造成损失的,竞得人还应依法承担赔偿责任:
(一)不符合竞买资格条件的。
(二)采取行贿、恶意串通等非法手段竞得的。
(三)竞得人以其他非法手段竞得的。
(四)竞得人逾期或拒绝签订《成交确认书》的。
(五)不按本须知规定提供有关纸质文件材料,或提供虚假文件材料、隐瞒重要事实,引起交易纠纷的。
(六)构成违约责任的其他行为。
十、网上挂牌出让地块的起始价、增价幅度
挂牌起始价为人民币3961万元,增价幅度为人民币50万元。
十一、本次网上挂牌出让活动有关时间
网上挂牌时间为10个工作日,不包括法定节假日。具体如下:
(一)网上挂牌起始时间:2021年5月14日9时。
(二)网上挂牌截止时间:2021年5月28日10时。
(三)网上挂牌交纳保证金截止时间:2021年5月28日9时。
(四)网上挂牌报价时间:网上挂牌起止时间内。
十二、挂牌文件获取
申请人可在网挂系统浏览或下载本次网上挂牌出让文件,具体包括:
1.《惠州市国有建设用地使用权和矿业权电子挂牌交易规则》
2.《惠州仲恺高新区陈江街道ZKCDS01-04号地块工业项目国有建设用地使用权网上挂牌出让公告》
3.《惠州仲恺高新区陈江街道ZKCDS01-04号地块工业项目国有建设用地使用权网上挂牌出让须知》
4.《规划设计条件告知书》及图则
5.《用地红线图》
6.《宗地图》
7.《出让合同》样本
8.《成交确认书》样本
9.《仲恺高新区产业项目投资建设协议书》
10.附件
11.其他相关的文件
十三、办理数字证书
办理数字证书是参加本宗地网上挂牌出让活动的必经程序,申请人应当携带相关有效证件到广东省数字证书认证中心惠州办理点(地址:惠州市江北云山西路2号帝景国际商务中心7层18-22房,电话:0752-2898481)申请办理。
数字证书的办理流程详见网挂系统上的《数字证书办理指南》。
十四、答疑及现场踏勘
申请人对网上挂牌出让文件有疑问的,可在网上挂牌活动开始前以书面或者口头方式向本中心咨询。有意竞买者可自行踏勘现场(可在网挂系统上查阅用地红线图)。
十五、竞买保证金
(一)竞买保证金是申请人参加网上挂牌交易活动的资格条件。按规定将竞买保证金汇入指定账户,是参加网上挂牌交易活动的必经程序。
(二)竞买人应当提前交纳竞买保证金以确保在到账截止时间前到账,超过到账截止时间的保证金,网挂系统将不予受理,造成的损失由竞买人自行承担。
(三)跨地区或跨行转账的竞买人,需预足资金的在途时间,以免影响竞买人及时取得竞买资格。
(四)竞买保证金到账时间以网挂系统颁发《保证金到账通知书》为准。
(五)竞买保证金开户单位:惠州市公共资源交易中心仲恺分中心
(六)开户银行:
1.工商银行仲恺高新区支行。
2.中国银行惠州仲恺开发区支行。
3.建设银行惠州开发区支行。
4.中国农业银行惠州陈江支行。
5.惠州农村商业银行仲恺支行。
6.广发银行惠州仲恺科技园支行。
7.珠海华润银行股份有限公司惠州分行。
8.上海浦东发展银行股份有限公司惠州分行。
9.东莞银行惠州仲恺支行。
(七)保证金账号:网挂系统随机产生子账号。
十六、网上报价规则
(一)本次网上挂牌以增价方式进行报价,每次加价幅度为本须知规定增价幅度的整数倍。
(二)竞买人的首次报价不低于起始价,此后的竞买人报价须高于报价当时的最新网上挂牌价格,并以增价幅度的整数倍加价。
(三)竞买人通过网挂系统提交的报价一经报出,不得撤回。
(四)在报价期间,竞买人可多次报价。
(五)在报价期内,竞买人必须进行一次有效报价,才能参加网上限时竞价。
(六)竞买人报价有下列情形之一的,为无效报价:
1.报价未在网上挂牌期限内收到的。
2.报价因竞买人网络故障未在网上挂牌报价期限内收到的。
3.报价不符合报价规则的。
4.报价低于网上挂牌起始价的。
5.报价不符合网上挂牌公告、须知及相关交易文件规定的其他情形。
十七、网上挂牌程序
(一)公布网上挂牌信息
我中心公告宗地的位置、面积、用途、使用年期、规划要求、起始价、增价规则及增价幅度等信息。申请人可登录网挂系统查询。
(二)申请人提交申请
1.申请人办理数字证书。办理数字证书是参加本宗地网上挂牌出让活动的必经程序,申请人应当携带相关有效证件到本须知第十三条规定地点或者广东省数字证书认证中心授权办理地点办理。
2.办理好数字证书的申请人决定参加本宗地网上挂牌竞买的,应按网挂系统要求填写真实有效的申请人身份等相关信息并向网挂系统提交申请书;企业对本宗地进行联合竞买的,应当按要求如实填写联合竞买各方的相关信息和出资比例。
(三)缴纳保证金
申请人应根据网挂系统随机生成的保证金账号按时足额交纳竞买保证金。竞买保证金应当以申请人的身份交纳,网挂系统在接受竞买保证金时,仅以此随机保证金账号作为识别竞买人身份的依据,并在竞买保证金确认到账之后,赋予申请人对应宗地的竞买权限。
(四)网上挂牌竞价
1.网挂系统从网上挂牌起始时间起开始接受报价。
2.获得竞买资格的竞买人通过网挂系统进行报价。
3.网挂系统对符合规定的报价予以确认,并更新显示当前报价。竞买人应当谨慎报价,报价一经提交并经网挂系统确认即视为有效报价,不得撤回。
4.网挂系统继续接受新的报价。
5.网上挂牌报价规则见本须知第十六条。
(五)网上挂牌截止
网挂系统将在网上挂牌截止时间自动确定网上挂牌截止。竞买人须随时密切关注交易动态:
1.在网上挂牌交易截止时间,没有任何有效报价的,网挂系统显示挂牌不成交。
2.在网上挂牌交易截止时间,只有一个竞买人报价,且报价不低于起始价的,网挂系统显示挂牌成交,出价者为竞得人。
3.在网上挂牌交易截止时间,有两个或两个以上竞买人报价的,网挂系统自动进入5分钟的限时竞价询问期,竞买人应当在5分钟询问期内作出是否参加网上限时竞价的决定并提交网挂系统,超过5分钟未提交的,则视为其参加网上限时竞价活动:
(1)经网挂系统询问,无竞买人愿意参加限时竞价的,以当前报价最高者为竞得人。
(2)经网挂系统询问,有竞买人愿意参加限时竞价的,网挂系统自动进入网上限时竞价环节。
(六)网上限时竞价
1.经网挂系统询问完毕后,有竞买人愿意参加网上限时竞价的,网挂系统开始第一次5分钟倒计时的限时竞价,竞买人应严格按照报价规则参加限时竞价。如在5分钟内的任一时点有新的报价,网上挂牌交易即从此时点起再顺延一个5分钟,供竞买人作新一轮竞价,并按此方式不断顺延下去。
2.5分钟限时竞价内没有新的报价,网挂系统将自动关闭报价通道,当前最高报价为最终报价,网挂系统确认最高报价者为竞得人。
3.在网上限时竞价中无人报价的,以网上挂牌截止时出价最高者为竞得人,但低于网上挂牌交易底价者除外。
(七)资格审查和签订《成交确认书》
网上挂牌交易结束后,竞得人应自行在网挂系统下载打印《竞价结果通知书》等,并在5个工作日内,持下列有效的纸质材料到本中心进行资格审查并签订《成交确认书》,材料清单如下:
1.竞价结果通知书(网挂系统自动生成,竞得人须打印盖章)(二份);
2.竞买申请书(网挂系统自动生成,竞得人须打印盖章);
3.竞买保证金到账通知书(网挂系统自动生成,竞得人须打印盖章)(二份);
4.申请竞买人经年检有效的《营业执照》副本复印件(二份);
5.提交仲恺高新区科技创新局出具的与该宗地产业类型(智能移动终端产品及关键零部件的技术开发和制造以及卫星导航芯片、系统技术开发与设备制造)一致的优先发展产业项目文件;
6.提交所交纳的竞买保证金不属于银行贷款、债券融资、信托资金、资管计划配资、保险理财资金、股东借款、转贷和募集资金的承诺书;
7.申请人足额缴交竞买保证金的凭据复印件(核对原件)(二份);
8.法人和其他组织联合竞买的,提供联合竞买协议;
9.法定代表人身份证复印件(二份);
10.授权他人代理的授权委托书及代理人身份证复印件(核对原件);
上述第6、10项材料范本可在网挂系统的“挂牌文件”的“附件”中下载。
境外竞买人按照上述规定提交的有关竞买人身份证明及其他相关文件,应按规定由中华人民共和国驻该国、该地区大使馆或领事馆公证或认证;香港竞买人身份证明及其他相关文件应由中华人民共和国司法部授权的香港律师公证人公证并由中国法律服务(香港)有限公司加盖转递章;澳门竞买人身份证明及其他相关文件应由中华人民共和国司法部授权的澳门律师公证人公证;台湾竞买人身份证明及其他相关文件应由台湾公证人公证并存广东省公证协会副本备案。
竞买人如需保存上述竞买报名资料应自留备份,本中心不予退还。
联合竞买协议要约定联合各方的权利和义务。必须明确表达参与联合竞买的各方、参与竞买的代表人、联合各方的出资比例和签订《出让合同》时的受让人。
上述文件中,申请书必须用中文书写,其他文件可以使用其它语言,但必须附中文译本,所有文件的解释以中文译本为准。
(八)网上挂牌出让结果公示
我中心将在本次国有建设用地使用权网上挂牌出让活动结束后10个工作日内,在中国土地市场网、广东省土地市场网、惠州市公共资源交易中心仲恺分中心门户网站公布本次国有建设用地使用权网上挂牌出让结果。
十八、注意事项
(一)在本宗地竞买申请之前,申请人须详细阅读本次《惠州仲恺高新区陈江街道ZKCDS01-04号地块工业项目国有建设用地使用权网上挂牌出让公告》、《惠州仲恺高新区陈江街道ZKCDS01-04号地块工业项目国有建设用地使用权网上挂牌出让须知》、《惠州市国有建设用地使用权和矿业权电子挂牌交易规则》及相关信息和交易条件,如有疑问可以在网上挂牌活动开始日前向本中心咨询,申请人亦可自行到现场踏勘网上挂牌出让地块。申请一经受理确认后,即视为竞买人对网上挂牌出让公告、须知、相关交易文件及地块现状无异议并全部接受,并对有关承诺承担法律责任。
(二)确定竞得人后,竞得人持《惠州市公共资源交易中心仲恺分中心网上挂牌交易竞价结果通知书》以及参加本宗地网上挂牌交易的所需资料到惠州市公共资源交易中心仲恺分中心土地矿业与产权交易部申办相关成交确认手续。
《惠州市公共资源交易中心仲恺分中心网上挂牌交易竞价结果通知书》对挂牌人和竞得人具有法律效力,挂牌人改变网上挂牌结果的,或者竞得人放弃竞得宗地的,应当承担相应法律责任。
(三)竞买保证金转退
未成功竞得的竞买人所交竞买保证金,自提交退款申请之日起5个工作日内予以退还;若违法违规竞买的,按有关规定处罚后,竞买保证金的20%不予退还,其余在5个工作日内予以退还。
竞得人签订《成交确认书》后,缴交的保证金中按成交价的20%转作定金;竞得人逾期或拒绝签订《出让合同》的,定金不予退还。竞得人签订《出让合同》后,定金转作土地出让价款。
未成功竞得的竞买人申请退还保证金所需材料:
1.退还保证金申请书;
2.竞买保证金到账通知书(贰份);
3.经年检有效的《企业营业执照》副本复印件;
4.法定代表人身份证复印件;
5.授权他人代理的授权委托书及代理人身份证复印件(核对原件);
6.缴交保证金凭证复印件(核对原件);
7.退回保证金的账号、账户名、开户行并加盖公章;
(四)挂牌成交确认书签订之日起10个工作日内,竞得人必须与出让人签订《出让合同》。土地出让金于《出让合同》签订之日起30日内一次性付清。竞得人逾期不签订《出让合同》的或已签《出让合同》不缴纳成交价款的,必须收回土地,并按规定处罚。
竞得人不能按时支付国有建设用地使用权出让价款的,自滞纳之日起,每日按迟延支付款项的 1 ‰向出让人缴纳违约金,延期付款超过60日,经出让人催交后仍不能支付国有建设用地使用权出让价款的,出让人有权解除合同,受让人无权要求返还定金,出让人并可请求受让人赔偿损失。
(五)为避免网络延迟问题,竞买人应尽量避免在网上挂牌交易截止前最后几秒钟才出价,以防止网挂系统无法及时接收到报价的情况发生。
(六)有下列情形之一的,本中心将暂停、中止或终止网上挂牌交易活动:
1.网挂系统受到网络恶意入侵的。
2.因网挂系统遭受破坏或发生电力、网络故障等不可抗力因素,导致网挂系统不能正常运行的。
3.网上挂牌交易委托人根据有关规定要求暂停、中止或终止网上挂牌交易活动的。
4.涉及土地或矿业权纠纷,不能及时解决的。
5.司法机关、纪检监察等部门要求暂停、中止或终止网上挂牌交易活动的。
6.国土资源部门或交易中心认为应当暂停、中止或终止网上挂牌交易活动的其他情形。
(七)付清出让金及有关税费后,竞得人可申请办理建设用地审批及土地登记发证手续。
(八)本中心认为需要对网上挂牌出让公告、须知及相关交易文件作出修改、补充时,将通过原公告发布渠道公告,不作另行通知。
申请人应当及时关注土地的网上挂牌交易信息。本中心发出的修改、补充公告,与本网上挂牌出让公告、须知及相关交易文件具有同等效力。若与本网上挂牌出让公告、须知及相关交易文件有矛盾时,以日期在后者为准。
(九)本须知及公告涉及的时间期限,以惠州市公共资源交易中心土地与矿业网上挂牌交易系统服务器的时间为准。
(十)竞买人在本次网上挂牌交易过程中与惠州市公共资源交易中心仲恺分中心发生任何争议,由双方协商。协商不成的可依法提交惠州市仲裁机构仲裁解决。
(十一)本中心对本《须知》有解释权。未尽事宜依照《招标拍卖挂牌出让国有土地使用权规范》办理。
惠州市公共资源交易中心仲恺分中心
2021年4月24日